Про місця паркування таксі

Про місця паркування таксі

РІШЕННЯ

Внесено зміни рішенням виконавчого комітету Долинської міської ради
№ 75 від 27.05.2021 року

Від 13.10.2020 №102
м. Долина
Про місця паркування таксі

Розглянувши заяву Яцишина Василя Васильовича щодо надання місць для паркування таксі у м. Долина, керуючись Законом України «Про місцеве самоврядування в Україні», виконавчий комітет міської ради

В И Р І Ш И В:

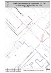
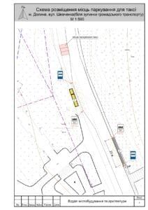
1.Дозволити Яцишину Василю Васильовичу влаштувати місця для паркування таксі у м. Долина терміном на 3 роки відповідно до схем:

– вул. Шевченка (біля зупинки громадського транспорту);

– вул. Грушевського (біля будинку № 20);

– вул. Горбового (біля будинку Грушевського, 26б).

2.Зобов’язати Яцишина Василя Васильовича, відповідно до схем, погоджених Долинським відділенням поліції Калуського ВП ГУНП в Івано-Франківській області, встановити дорожній знак 5.44 «Місце зупинки таксі».

3.Встановлення дорожніх знаків проводити в присутності працівника Долинського відділення поліції Калуського ВП ГУНП в Івано-Франківській області.

Міський голова Володимир Гаразд

Документ опубліковано 13 жовтня 2020
Чинний
Детальніше